REQUEST A TOUR If you would like to see this home without being there in person, select the "Virtual Tour" option and your agent will contact you to discuss available opportunities.
In-PersonVirtual Tour

$ 45,000
Est. payment | /mo
5,248 Sqft Lot
$ 45,000
Est. payment | /mo
5,248 Sqft Lot
Key Details
Property Type Vacant Land
Sub Type Water Position With Land
Listing Status Active
Purchase Type For Sale
Subdivision Lodge Hill(430)
MLS Listing ID SC22216881
HOA Y/N No
Lot Size 5,248 Sqft
Property Sub-Type Water Position With Land
Property Description
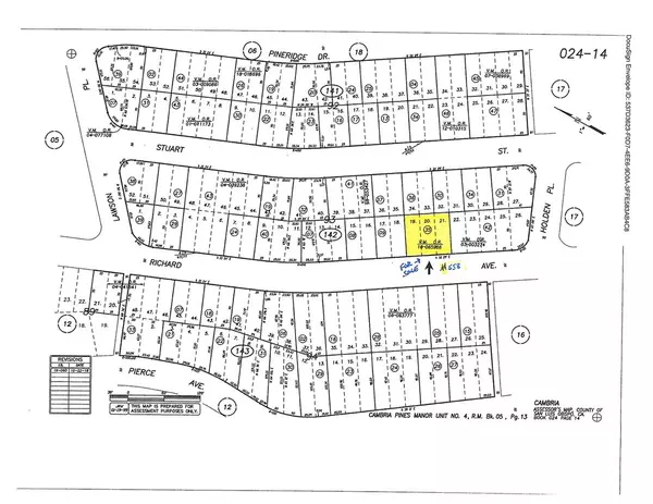
Distant Ocean Views over a Pine forest on upper Lodge Hill. This is a Triple lot, 75'x70' (+-5250sf) includes #556 on the CCSD water wait list. Sunny area, paved street, lots of wildlife and beautiful views on a large piece of property offering many future design options. Buy and Hold for now until the current building moratorium for new construction is lifted. Check CCSD and county websites (cambriacsd.org & slocounty.ca.gov) for info on the moratorium & allowable uses for property. Offered for $45,000.
Location
State CA
County San Luis Obispo
Area Camb - Cambria
Zoning RSF
Interior
Inclusions #558 on CCSD Water Wait List
Fireplace No
Exterior
Community Features Rural
View Y/N Yes
View Ocean, Trees/Woods
Present Use Unimproved
Building
Lot Description Sloped Up
Sewer Public Sewer
Water Public
New Construction No
Others
Senior Community No
Tax ID 024142035
Acceptable Financing Cash, Cash to New Loan
Listing Terms Cash, Cash to New Loan
Special Listing Condition Standard

Listed by Jack Posemsky Jack Posemsky Real Estate 805-235-4926
GET MORE INFORMATION

Chandy Andre
Realtor-Owner | Lic# 01326084